Myytävät tontit
Äänekoski – Keski-Suomi

Hirvimäen asemakaava-alue Hirvaskankaalla

Hirvimäen asemakaava on valmistunut 2018 ja asemakaava on uudistettu pikkutalokorttelialueen osalta 2025. Hirvimäki sijaitsee Äänekoskella, Hirvaskankaalla hyvien ulkoilumaastojen ja useiden palvelujen lähettyvillä. Alueelle on kaavoitettu noin 80 omakotitalotonttia, joista osa on myyty. Myynnissä olevat tontit ovat heti ostettavissa. Alueen omistaa Crystone Oy, joka vastaa myös tonttimyynnistä.

Alueen valmis infra helpottaa rakentamisen aloittamista

Alueen valmiit infraratkaisut helpottavat rakentamisen aloittamista. Alueella on valmiiksi rakennetut kadut, tiet, kevyenliikenteen väylät ja katuvalaistus. Jokaiselle tontille on tuotu kunnallistekniikka valmiiksi paikoilleen. Sähkö-, vesi- ja viemäriliittymät sekä valokuituyhteys odottavat rakentajaa, mikä tekee rakennusprojektin käynnistämisestä nopeaa. Alueen infran rakentamisesta on vastannut alueen omistaja Crystone Oy.

Kannustien tontit

Kannustie kortteli 2501: ei vapaita tontteja.
Kannustie kortteli 2505 muut kuin listassa olevat tontit:
ei vapaita tontteja.

Kortteli/tontti
Katuosoite
Pinta-ala m²
Hinta €
2503/1
Kannustie 13
1200
23 000
2503/2
Kannustie 15
1357
23 000
2503/3
Kannustie 17
1200
23 000
2503/4
Kannustie 19
1200
23 000
2503/5
Kannustie 21
1200
23 000
2503/6
Kannustie 23
1200
23 000
2504/1
Kannustie 2
1655
24 000
2504/2
Kannustie 4
1368
23 000
2504/3
Kannustie 6
1677
23 000
2504/4
Kannustie 8
1177
22 000
2504/5
Kannustie 10
1200
22 000
2504/6
Kannustie 12
1200
22 000
2504/7
Kannustie 14
1175
22 000
2504/8
Kannustie 16
1680
23 000
2504/9
Kannustie 18
1630
23 000
2504/10
Kannustie 20
1349
23 000
2505/1
Kannustie 33
MYYTY
2505/2
Kannustie 31
MYYTY
2505/3
Kannustie 29
MYYTY
2505/4
Kannustie 27
1337
22 000
2505/5
Kannustie 25
1439
22 000

Kannustie tontit ja hinnat

Kannustie kortteli 2501: ei vapaita tontteja.
Kannustie kortteli 2505 muut kuin listassa olevat tontit:
ei vapaita tontteja.

 

Kortteli/tontti
Katuosoite
Pinta-ala m²
Hinta €
2503/1
Kannustie 13
1200
23 000
2503/2
Kannustie 15
1357
23 000
2503/3
Kannustie 17
1200
23 000
2503/4
Kannustie 19
1200
23 000
2503/5
Kannustie 21
1200
23 000
2503/6
Kannustie 23
1200
23 000
2504/1
Kannustie 2
1655
24 000
2504/2
Kannustie 4
1368
23 000
2504/3
Kannustie 6
1677
23 000
2504/4
Kannustie 8
1177
22 000
2504/5
Kannustie 10
1200
22 000
2504/6
Kannustie 12
1200
22 000
2504/7
Kannustie 14
1175
22 000
2504/8
Kannustie 16
1680
23 000
2504/9
Kannustie 18
1630
23 000
2504/10
Kannustie 20
1349
23 000
2505/1
Kannustie 33
MYYTY
2505/2
Kannustie 31
MYYTY
2505/3
Kannustie 29
MYYTY
2505/4
Kannustie 27
1337
22 000
2505/5
Kannustie 25
1439
22 000

Valjastien tontit

Kortteli/tontti
Katuosoite
Pinta-ala m²
Hinta €
2505/6
Valjastie 7
MYYTY
2505/7
Valjastie 5
1400
24 000
2505/8
Valjastie 3
1400
24 000
2505/9
Valjastie 1
1285
22 000
2506/1
Valjastie 17
1558
23 000
2506/2
Valjastie 15
1357
22 000
2506/3
Valjastie 13
MYYTY
2506/4
Valjastie 11
2225
26 000
2506/5
Valjastie 9
MYYTY

Valjastie tontit ja hinnat

Kortteli/tontti
Katuosoite
Pinta-ala m²
Hinta €
2505/6
Valjastie 7
MYYTY
2505/7
Valjastie 5
1400
24 000
2505/8
Valjastie 3
1400
24 000
2505/9
Valjastie 1
1285
22 000
2506/1
Valjastie 17
1558
23 000
2506/2
Valjastie 15
1357
22 000
2506/3
Valjastie 13
MYYTY
2506/4
Valjastie 11
2225
26 000
2506/5
Valjastie 9
MYYTY

Tierakujan tontit

Tierakujan tontit ovat pikkutalokorttelialuetta. Myymme tonteille minitaloja valmiina talopaketteina avaimet käteen rakennettuina. Voit siis halutessasi rakentaa tai rakennuttaa tontille oman talosi tai tilata meiltä valmiin pikkutalon. Tutustu minitaloihimme tästä>

Tierakuja tontit ja hinnat

Kortteli/tontti
Katuosoite
Pinta-ala m²
Hinta €
2508/1
Tierakuja 2
MYYTY
2508/2
Tierakuja 4
MYYTY
2508/3
Tierakuja 6
783
11 000
2508/4
Tierakuja 8
783
11 000
2523/1
Tierakuja 1
834
VARATTU
2523/2
Tierakuja 3
783
VARATTU
2523/3
Tierakuja 5
783
11 000
2523/4
Tierakuja 7
783
11 000
Kortteli/tontti
Katuosoite
Pinta-ala m²
Hinta €
2508/1
Tierakuja 2
MYYTY
2508/2
Tierakuja 4
MYYTY
2508/3
Tierakuja 6
783
11 000
2508/4
Tierakuja 8
783
11 000
2523/1
Tierakuja 1
834
VARATTU
2523/2
Tierakuja 3
783
VARATTU
2523/3
Tierakuja 5
783
11 000
2523/4
Tierakuja 7
783
11 000

Varsapolun tontit

Kortteli/tontti
Katuosoite
Pinta-ala m²
Hinta €
2509/1
Varsapolku 1
1258
22 000
2509/2
Varsapolku 3
1200
22 000
2509/3
Varsapolku 5
1200
22 000
2509/4
Varsapolku 7
1839
24 000
2510/1
Varsapolku 21
1236
24 000
2510/2
Varsapolku 19
1260
23 000
2510/3
Varsapolku 17
1926
23 000
2510/4
Varsapolku 15
1064
21 000
2510/5
Varsapolku 13
1390
22 000
2510/6
Varsapolku 11
1150
21 000
2510/7
Varsapolku 9
1125
21 000

Varsapolku tontit ja hinnat

Kortteli/tontti
Katuosoite
Pinta-ala m²
Hinta €
2509/1
Varsapolku 1
1258
22 000
2509/2
Varsapolku 3
1200
22 000
2509/3
Varsapolku 5
1200
22 000
2509/4
Varsapolku 7
1839
24 000
2510/1
Varsapolku 21
1236
24 000
2510/2
Varsapolku 19
1260
23 000
2510/3
Varsapolku 17
1926
23 000
2510/4
Varsapolku 15
1064
21 000
2510/5
Varsapolku 13
1390
22 000
2510/6
Varsapolku 11
1150
21 000
2510/7
Varsapolku 9
1125
21 000

Pollenpolun tontit

Kortteli/tontti
Katuosoite
Pinta-ala m²
Hinta €
2510/8
Pollenpolku 1
MYYTY
2510/9
Pollenpolku 3
1456
22 000
2510/10
Pollenpolku 5
1036
21 000
2510/11
Pollenpolku 7
1456
22 000
2510/12
Pollenpolku 9
1692
23 000
2511/1
Pollenpolku 19
1117
22 000
2511/2
Pollenpolku 17
1269
22 000
2511/3
Pollenpolku 15
1140
22 000
2511/4
Pollenpolku 13
1140
22 000
2511/5
Pollenpolku 11
1582
24 000

Pollenpolku tontit ja hinnat

Kortteli/tontti
Katuosoite
Pinta-ala m²
Hinta €
2510/8
Pollenpolku 1
MYYTY
2510/9
Pollenpolku 3
1456
22 000
2510/10
Pollenpolku 5
1036
21 000
2510/11
Pollenpolku 7
1456
22 000
2510/12
Pollenpolku 9
1692
23 000
2511/1
Pollenpolku 19
1117
22 000
2511/2
Pollenpolku 17
1269
22 000
2511/3
Pollenpolku 15
1140
22 000
2511/4
Pollenpolku 13
1140
22 000
2511/5
Pollenpolku 11
1582
24 000

Ratsupolun tontit

Kortteli/tontti
Katuosoite
Pinta-ala m²
Hinta €
2511/6
Ratsupolku 7
1232
22 000
2511/7
Ratsupolku 5
1020
21 000
2511/8
Ratsupolku 3
1380
22 000
2511/9
Ratsupolku 1
1541
23 000
2512/1
Ratsupolku 15
1176
21 000
2512/2
Ratsupolku 13
1500
23 000
2512/3
Ratsupolku 11
1140
21 000
2512/4
Ratsupolku 9
1390
22 000

Ratsupolku tontit ja hinnat

Kortteli/tontti
Katuosoite
Pinta-ala m²
Hinta €
2511/6
Ratsupolku 7
1232
22 000
2511/7
Ratsupolku 5
1020
21 000
2511/8
Ratsupolku 3
1380
22 000
2511/9
Ratsupolku 1
1541
23 000
2512/1
Ratsupolku 15
1176
21 000
2512/2
Ratsupolku 13
1500
23 000
2512/3
Ratsupolku 11
1140
21 000
2512/4
Ratsupolku 9
1390
22 000

Riimukujan tontit

Riimukuja kortteli 2507:
Ei vapaita tontteja.

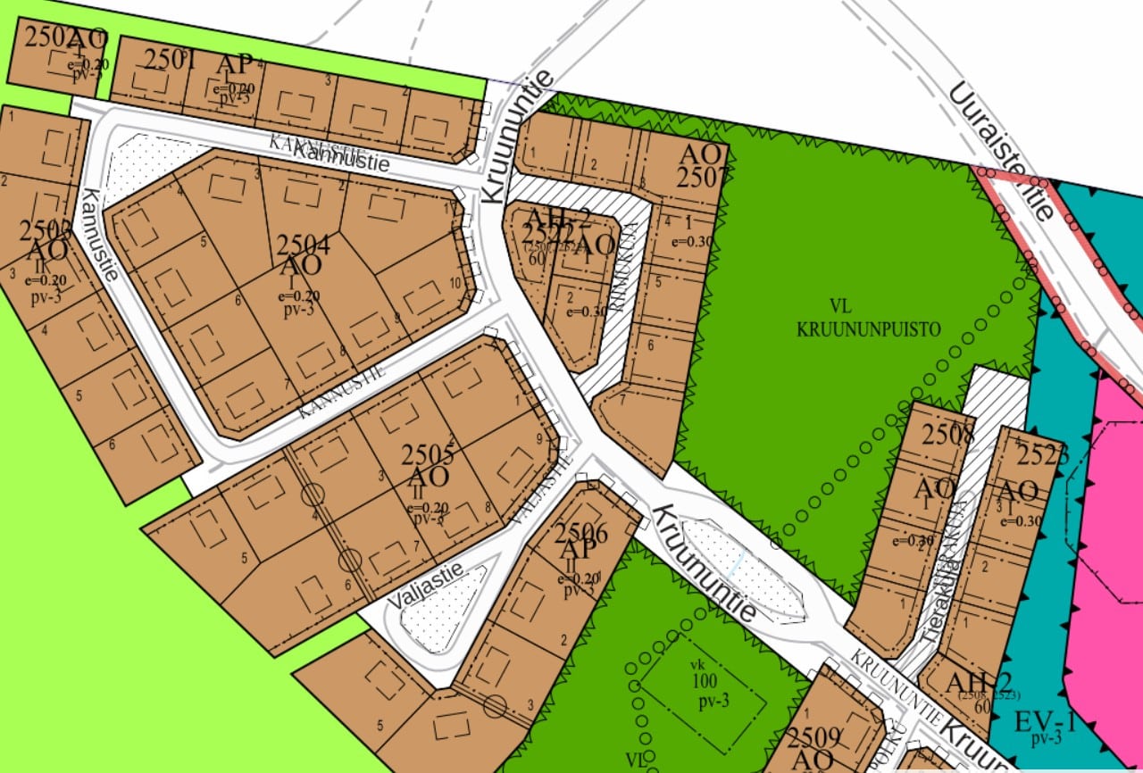
Tonttikartat ja asemakaava

Ostajan vastuulle jäävät

Kauppahinnan lisäksi ostajan vastuulle kuuluvat

  • lohkomiskustannukset 1 230 € / tontti
  • varainsiirtovero 3 % kauppahinnasta (vuonna 2026)
  • liittymismaksut vesi- ja viemäriverkostoon 6 900 € / tontti
  • liittymismaksu sähköverkkoyhtiön hinnaston mukaan

Tutustu tontteihin Äänekosken kaupungin karttapalvelussa

Ohje karttapalvelun käyttöön

Näin löydät Hirvimäen asuinalueen asemakaavan:

1. Valitse näkymäksi ”Kaavoitus ja Rakentaminen”
2. Valitse ”Ajantasa-asemakaava”

Voit etsiä tässä karttanäkymässä tiettyä tonttia sen katuosoitteella hakusanakentässä.

Huom. Google Maps -karttapalvelu ei vielä tunnista alueen osoitteita, joten niitä ei ole mahdollista hakea kyseisessä karttapalvelussa.

Lisätietoa rakennusvalvonnasta

Lisätietoja rakentamiseen ja lupakäytäntöihin antaa Äänekosken kaupungin rakennusvalvonta.

Jos kiinnostuit, ota yhteyttä